
SYDNEY – Nel 1871 il padre della teoria evoluzionistica, Charles Darwin scrisse una lettera all’amico William Jackson Hooker, dove ipotizzava che la vita fosse nata in un “piccolo stagno caldo”, il cosiddetto “brodo primordiale” in cui sarebbero nati i primi organismi viventi.
La sua teoria è stata confermata dal ritrovamento di alcune bolle, perfettamente conservate, intrappolate in un fluido microbico e tra strati di roccia formati da antichi microrganismi in Australia. I ricercatori affermano che la stupefacente scoperta, che sarebbe la più antica testimonianza di vita sulla Terra e andrebbe a coprire un arco di tempo di 580 milioni di anni, potrebbe aiutare gli scienziati nella ricerca di altre forme di vita aliene, in quanto 3.5 miliardi di anni fa anche su Marte erano presenti delle vere e proprie sorgenti termali.
Gli scienziati suggeriscono che le future missioni su Marte dovrebbero mirare alle ormai inesistenti sorgenti termali del pianeta, ottenendo così maggiori possibilità di trovare forme di vita.
“I nostri risultati, non solo mostrano forme di vita risalenti a 3 miliardi di anni, un vero e proprio record, ma indicano inoltre che sulla Terra la vita era presente molto prima di quanto si pensasse in precedenza, fino a circa 580 milioni di anni. Ciò potrebbe avere implicazioni sull’ormai diffusa credenza che tutto nacque negli Oceani, invece che in acque dolci “, afferma l’autore dello studio Tara Djokic, dell’Università del Nuovo Galles del Sud.
“La nostra ricerca ha anche importanti implicazioni per la vita su Marte, perché il pianeta rosso ha antichi depositi di acque calde con un’età simile alla Formazione Dresser del Pilbara” spiega Tara Djokic. I ricercatori hanno studiato depositi eccezionalmente ben conservati nell’antica Formazione dei Dresser nel Craton di Pilbara, Australia occidentale, giungendo alla conclusione che i depositi si formarono sulla Terra e non nell’oceano, e identificando la presenza di un deposito minerale formato da alte temperature e ricco di silice, che si trova solo nelle acque termali.
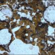
In precedenza, il più antico deposito geyserico era stato identificato in alcune rocce di circa 400 milioni di anni; all’interno dei depositi di Pilbara, i ricercatori hanno anche scoperto stromatoliti, ossia strati rocciosi creati da comunità di antichi microbi, insieme a delle bolle ben conservate che si pensa siano state intrappolate in una sostanza microbica collosa, che ne avrebbe preservato l’integrità. “Cio dimostra che nelle acque dolci della Terra erano già presenti diverse varietà di forme di vita”, ha detto il coautore dello studio, il prof. Van Kranendonk.
“I depositi di Pilbara hanno la stessa età della crosta di Marte, dettaglio che rende i depositi di acque termali del pianeta rosso un emozionante obiettivo nella ricerca sulla vita fossilizzata del pianeta” ha concluso lo studioso.



